Politforum 06/25
Befreit den Bahnhofplatz!
Seit anfangs Jahr verbinden die modernen roten BernMobil-Trams Worb mit der Stadt Bern und das alte Blaue Bähnli ist Geschichte. Worb gehört nun definitiv zur Agglomeration der Hauptstadt. Die neuen Trams sind nicht nur schön und leiser, sondern können in Worb ohne zu wenden wieder Richtung Bern zurückfahren. Im letzten Jahrhundert haben wir Grünen die Einführung von Zweirichtungstrams gefordert, um unseren zentralen Bahnhofplatz nicht einer monotonen Wendeschlaufe zu opfern – allerdings ohne Erfolg. Die Wendeschlaufe wurde gebaut und der Platz wahrscheinlich aus Sicherheitsgründen auf der Seite der Bahnhof- und Güterstrasse eingehagt und vom Dorf abgegrenzt.
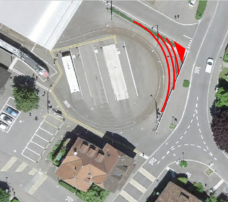
Heute, gut 25 Jahre später, fahren die Zweirichtungstrams und eine sinnvollere Nutzung und Begrünung des Bahnhofplatzes scheint wieder möglich. Würden die Geländer entfernt, könnte man den Platz zum Dorf hin öffnen. Der Zugang zu Bus und Bahn könnte über breite Treppen (auf dem Bild rot eingezeichnet) ohne Umwege erfolgen.

Die Treppen wären zugleich willkommen für eilige Pendlerinnen und Pendler und eine Sitzgelegenheit für Jung und Alt. Ein Rückbau der Wendeschlaufe würde zudem eine grosszügige Begrünung mit Bäumen erlauben. Eine grosse Hitzeinsel in Zentrum von Worb könnte damit deutlich abgekühlt werden. Der Bahnhofplatz würde attraktiver und ein Ort für Begegnungen. Hoffentlich nicht erst im nächsten Jahrhundert.
Roland von Arx
